Öffnungszeiten

Dienstag–Samstag: 14.00–18.00 Uhr
Sonntag: 11.00–18.00 Uhr

Gruppenbesuche und Führungen außerhalb der Öffnungszeiten nach Vereinbarung.

ANGEPACKT: DER ZIVILE WOHNUNGSBAU NIMMT FAHRT AUF

Die wichtigste Aufgabe der Verantwortlichen in Rat und Verwaltung war neben der Beseitigung der unmittelbaren Kriegsfolgen die Schaffung von Wohnraum – nicht nur für die Angehörigen der Besat- zungsmacht, „Displaced Persons“ und Ostflüchtlinge sondern auch für die Meppener Familien, deren Häuser zerstört worden waren.

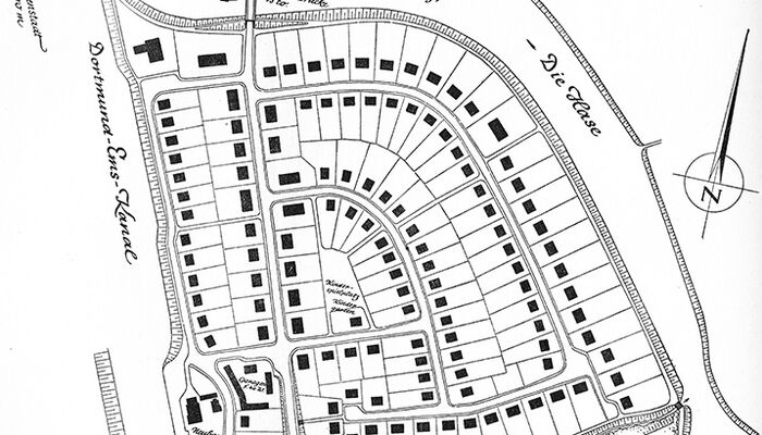
Noch bis in die 1960er Jahre hatte man es mit der Wiederherstellung von beschädigten Wohnungen zu tun, waren Menschen, auch Schulen und Kirchen, noch teilweise in Baracken und in primitiven Wellblechhütten untergebracht. Bereits ab 1949 wurden neue Wohngebiete wie die „Flüchtlingssiedlung“ an der Schaftrift in Esterfeld entwickelt, ab 1951 folgten die Erschließung und Bebauung beiderseits der Radde und am Wendehafen. Mit den Sandmassen aus der Verbreiterung des Dortmund-Ems-Kanals und aus dem Neubau der Schleusengruppe wurde ab Mitte der 1950er Jahre der Hasebrink beiderseits der Hase aufgehöht. So entstand das hochwasserfreie Baugebiet Hasebrink, das schon bald darauf mit Miet- und Einfamilienhäusern bebaut wurde.